I licytacja nieruchomości i drogi Twardogóra ul.Długa 2A

O B W I E S Z C Z E N I E

 

Komornik SÄ…dowy przy SÄ…dzie Rejonowym w OleÅ›nicy  Kancelaria Komornicza nr I  w  OleÅ›nicy Tomasz Chynek

zawiadamia na podstawie art. 953 kpc w zwiÄ…zku z art. 955 kpc,

że w dniu 20-10-2025r. w sali nr 24 Sądu Rejonowego w Oleśnicy odbędzie się:

 

P I E R W S Z A    L I C Y T A C J A

o godz. 14.45
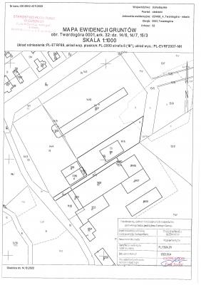
1) nieruchomoÅ›ci oznaczonej jako: nieruchomość gruntowa, dziaÅ‚ka gruntu nr 14/6 o pow. 0,1550 ha - tereny przemysÅ‚owe poÅ‚ożonej w miejscowoÅ›ci Twardogóra ul. DÅ‚uga 2B  stanowiÄ…cej wÅ‚asność dÅ‚użnika RydzyÅ„ski Dariusz posiadajÄ…ca zaÅ‚ożonÄ… ksiÄ™gÄ™ wieczystÄ… w Wydziale KsiÄ…g Wieczystych SÄ…du Rejonowego w OleÅ›nicy  nr WR1E/00101090/9

Opis nieruchomości WR1E/00101090/9
DziaÅ‚ka w ksztaÅ‚cie trapezu: szer. 21m i dÅ‚. 6-83m, na kierunku póÅ‚nocny-wschód - poÅ‚udniowyzachód, teren  pÅ‚aski. Dojazd - dziaÅ‚ka 14/6 posiada poÅ›redni dostÄ™p (przez dziaÅ‚ki 14/7 i 15/3) do drogi publicznej, ogrodzona z jednym wjazdem, częściowo utwardzona szutrem, częściowo zabudowana budynkiem magazynowo-biurowym oraz częściowo poroÅ›niÄ™ta niezagospodarowanÄ… zieleniÄ…. 
Budynek magazynowo-biurowy: obiekt wolnostojÄ…cy, niepodpiwniczony, dwukondygnacyjny i przykryty pÅ‚askim dachem. Pow. zabud. 288m2, pow. caÅ‚kowita 576m2, pow. użytk. 402,5m2,wys. pom. 2,36-2,47m. Budynek posiada cztery wejÅ›cia: dwa na parter oraz dwa na piÄ™tro. Struktura budynku :  parter:  wejÅ›cie 18,1m2, magazyn 111,7m2, pom. socj. 7,7m2, wc 6,7m2, biuro I 22,3m2, kotÅ‚ownia 10,9m2, biuro II 17,2m2 - razem 194,6m2; piÄ™tro: biuro III 11,1m2,  magazyn II 65,4m2, pom. biurowe I 7,8m2, pom.biurowe II 20,7m2, Å‚azienka 8,3m2,  warsztat 10,7m2, pom. biurowe III 23,8m2,  sala + kuchnia + korytarz 78,1m2 - razem 225,9m2  Budynek wybudowany okoÅ‚o 50 lat temu w technologii tradycyjnej, Å›ciany murowane z cegÅ‚y i pustaków żużlobetonowych, stropy żelbetowe monolityczne, dach pÅ‚aski dwuspadowy  pokryty papÄ… na lepiku, stolarka - PCV z szybÄ… zespolonÄ…; drzwi drewniane. Budynek wyposażony w instalacjÄ™ wodociÄ…gowÄ…, kanalizacyjnÄ…, elektrycznÄ…, wentylacji grawitacyjnej; ogrzewanie - indywidualne: centralne zasilanie z kotÅ‚a na opaÅ‚ staÅ‚y. 

o godz. 15.00
2) nieruchomoÅ›ci oznaczonej jako: nieruchomość gruntowa , dziaÅ‚ki nr 15/3 i 14/7 o łącznej pow. 0,0311 ha - drogi  poÅ‚ożonej w Twardogóra ul. DÅ‚uga stanowiÄ…cej wÅ‚asność dÅ‚użnika RydzyÅ„ski Dariusz posiadajÄ…ca zaÅ‚ożonÄ… ksiÄ™gÄ™ wieczystÄ… w Wydziale KsiÄ…g Wieczystych SÄ…du Rejonowego w OleÅ›nicy  nr WR1E/00103694/7. 

Opis nieruchomości WR1E/00103694/7
DziaÅ‚ka 14/7 o pow. 0,0084ha, ksztaÅ‚t prostokÄ…ta o wym.: szer. 4m, dÅ‚. 21m, zorientowana na kierunku póÅ‚nocny-wschód - poÅ‚udniowy-zachód, teren pÅ‚aski - stanowi drogÄ™ dojazdowÄ… i miejscami utwardzona szutrem. DziaÅ‚ka 15/3 o pow. 0,0227ha, ksztaÅ‚t prostokÄ…ta o wym.: szer. 4m, dÅ‚. 57m, zorientowana na kierunku póÅ‚nocny-wschód - poÅ‚udniowy-zachód, teren pÅ‚aski. DziaÅ‚ka ta łącznie z dziaÅ‚kÄ… 14/6 ( objÄ™tÄ… KW WR1E/00101090/9) znajduje siÄ™ na ogrodzonym terenie i stanowi drogÄ™ dojazdowÄ…. Dojazd - bezpoÅ›rednio z do drogi publicznej powiatowej od strony poÅ‚udniowo-zachodniej ulicy DÅ‚uga .
DziaÅ‚ki sÄ… obciążone ograniczonymi prawami rzeczowymi 1) na rzecz Gmina Twardogóra polegajÄ…cymi na : nieodpÅ‚atna sÅ‚użebność przesyÅ‚u polegajÄ…ca na prawie korzystania u używania, eksploracji i rozbudowy istniejÄ…cej sieci wodociÄ…gowej i kanalizacyjnej w zakresie niezbÄ™dnym dla zapewnienia prawodÅ‚owego ich funkcjonowania oraz udostÄ™pnieniu dziaÅ‚ek 14/7, 15/3 w celu wykonania powyższych czynnoÅ›ci ; na rzecz EnergiaPro Koncern Energetyczny SA - OddziaÅ‚ we WrocÅ‚awiu - ograniczone prawo rzeczowe zwiÄ…zane z innÄ… nieruchomoÅ›ciÄ… - nieodpÅ‚atna slużebność gruntowa polegajÄ…ca na prawie przejÅ›cia i przechodu przez dziaÅ‚ki nr 14/7, 15/3 na rzecz każdoczesnego wÅ‚aÅ›ciciela dziaÅ‚ki nr 15/4 DziaÅ‚ka nr 14/6 objÄ™ta  KW WR1E/00101090/9 poÅ‚ożona w pewnej odlegÅ‚oÅ›ci od drogi publicznej (ulicy DÅ‚ugiej), dostÄ™p możliwy jest przez teren dziaÅ‚ek 14/7 i 15/3 (nieruchomość objÄ™ta KW  WR1E/00103694/7). 

Wykorzystanie innego dostÄ™pu do opisywanej nieruchomoÅ›ci  jest obecnie niemożliwy (wymagaÅ‚by ustanowienia sÅ‚użebnoÅ›ci na innych dziaÅ‚kach).   W zwiÄ…zku z tym obie nieruchomoÅ›ci  stanowiÄ… gospodarczÄ… caÅ‚ość i należy przystÄ…pić do obu licytacji. 


Przeznaczenie nieruchomości w MPZP
Teren, na którym znajdujÄ… siÄ™ licytowane nieruchomoÅ›ci nie jest objÄ™ty obowiÄ…zujÄ…cym miejscowym planem zagospodarowania przestrzennego. W Studium uwarunkowaÅ„ i kierunków zagospodarowania przestrzennego gminy Twardogóra :
Znaczna wiÄ™kszość dziaÅ‚ki 14/6 oraz dziaÅ‚ki 14/7 i 15/3 poÅ‚ożone sÄ… w terenie oznaczonym jako: UP – tereny skÅ‚adów, produkcji i aktywnoÅ›ci gospodarczej. Jedynie niewielka część dziaÅ‚ki 14/6 (póÅ‚nocny narożnik o powierzchni okoÅ‚o 6% ) poÅ‚ożona jest w terenie oznaczonym jako: 
ZP – tereny zieleni parkowej. DziaÅ‚ki leżą w strefie „OW” obserwacji archeologicznej oraz projektowanym obszarze chronionego krajobrazu „wzgórza trzebnickie”

Na dzieÅ„ sporzÄ…dzenia opisu i oszacowania w/g oÅ›wiadczenia dÅ‚użnika nieruchomość objÄ™ta KW WR1E/00101090/9 byÅ‚a wynajmowana spóÅ‚kom : Pipeplast Sp. z o.o. DÅ‚uga  2b 56-416 Twardogóra i Bomega Sp. z o.o. DÅ‚uga  2b 56-416 Twardogóra.  DÅ‚użnik pomimo zobowiÄ…zania go do protokoÅ‚u oglÄ™dzin nie przedÅ‚ożyÅ‚ do akt sprawy kopii umów najmu.

Zgodnie z art. 1002 kpc z chwilÄ… uprawomocnienia siÄ™ postanowienia o przysÄ…dzeniu wÅ‚asnoÅ›ci nabywca wstÄ™puje w prawa i obowiÄ…zki dÅ‚użnika wynikajÄ…ce ze stosunku najmu i dzierżawy stosownie do przepisów prawa normujÄ…cych te stosunki w wypadku zbycia rzeczy wynajÄ™tej lub wydzierżawionej. W przypadku gdy umowa najmu lub dzierżawy nieruchomoÅ›ci zawarta byÅ‚a na czas oznaczony dÅ‚uższy niż dwa lata, nabywca może wypowiedzieć tÄ™ umowÄ™, w ciÄ…gu miesiÄ…ca od uprawomocnienia siÄ™ postanowienia o przysÄ…dzeniu wÅ‚asnoÅ›ci, z zachowaniem rocznego terminu wypowiedzenia, o ile umowa nie przewiduje terminu krótszego, chociażby umowa zostaÅ‚a zawarta z zachowaniem formy pisemnej i z datÄ… pewnÄ…, a rzecz zostaÅ‚a najemcy lub dzierżawcy wydana.


Nieruchomość WR1E/00101090/9 oszacowana jest na kwotÄ™: 505.600,00 zÅ‚. 

Cena wywoÅ‚awcza w powyższej licytacji wynosi trzy czwarte  wartoÅ›ci oszacowania tj. kwotÄ™: 379.200,00 zÅ‚.

PrzystÄ™pujÄ…cy do licytacji obowiÄ…zany jest zÅ‚ożyć rÄ™kojmiÄ™ w wysokoÅ›ci 10% ceny oszacowania nieruchomoÅ›ci  (tj.50.560,00 zÅ‚) 

 

Nieruchomość WR1E/00103694/7 oszacowana jest na kwotÄ™: 15.400,00 zÅ‚. 

Cena wywoÅ‚awcza w powyższej licytacji wynosi  trzy czwarte wartoÅ›ci oszacowania tj. kwotÄ™: 11.550,00 zÅ‚.

PrzystÄ™pujÄ…cy do licytacji obowiÄ…zany jest zÅ‚ożyć rÄ™kojmiÄ™ w wysokoÅ›ci 10% ceny oszacowania nieruchomoÅ›ci  (tj. 1.540,00 zÅ‚) 

 

RÄ™kojmie ( każda osobno)  powinny być zÅ‚ożone najpóźniej w dniu poprzedzajÄ…cym przetarg na konto komornika w Bank SpóÅ‚dzielczy w OleÅ›nicy: 32 9584 0008 2001 0013 1430 0001 z podaniem syg. Km 1118/20, z zastrzeżeniem, że wpÅ‚ata musi wpÅ‚ynąć na rachunek komornika najpóźniej w dniu poprzedzajÄ…cym termin licytacji.

Wpłaty wadium zaksięgowane na koncie komornika po w/w terminie nie będą uwzględniane w toku licytacji.

Zobowiązać dłużnika do udostępnienia nieruchomości celem oględzin na dwa tygodnie przed licytacją tj. 06-10-2025r. o godz. 10.00, operat szacunkowy nieruchomości znajduje się do wglądu w kancelarii komornika po uzgodnieniu telefonicznym terminu.

Zgodnie z przepisem art. 976 § 1 kpc w przetargu nie mogÄ… uczestniczyć: dÅ‚użnik, komornik, ich małżonkowie, dzieci, rodzice i rodzeÅ„stwo oraz osoby obecne na licytacji w charakterze urzÄ™dowym, licytant, który nie wykonaÅ‚ warunków poprzedniej licytacji, osoby, które moga nabyć nieruchomość tylko za zezwoleniem organu paÅ„stwowego, a zezwolenia tego nie przedstawiÅ‚y. Zgodnie z art. 977 kpc peÅ‚nomocnictwo do udziaÅ‚u w przetargu powinno być stwierdzone dokumentem z podpisem urzÄ™dowo poÅ›wiadczonym. Podpisy na peÅ‚nomocnictwach udzielonych przez paÅ„stwowe jednostki organizacyjne lub jednostki organizacyjne samorzÄ…du terytorialnego oraz na peÅ‚nomocnictwach udzielonych adwokatom lub radcom prawnym nie wymagajÄ… poÅ›wiadczenia. PoÅ›wiadczenia podpisu dokonuje notariusz ( zgodnie art 96 pkt 1 ustawy z 14 lutego 1991 prawo o notariacie)  Prawa osób trzecich nie bÄ™dÄ… przeszkodÄ… do przeprowadzenia licytacji i przysÄ…dzenia wÅ‚asnoÅ›ci na rzecz nabywcy bez zastrzeżeÅ„, jeżeli osoby te przed rozpoczÄ™ciem przetargu nie zÅ‚ożą dowodu, iż wniosÅ‚y powództwo o zwolnienie spod egzekucji tej nieruchomoÅ›ci lub innych przedmiotów razem z niÄ… zajÄ™tych i uzyskaÅ‚y w tym zakresie orzeczenie wstrzymujÄ…ce egzekucjÄ™. Użytkowanie, sÅ‚użebnoÅ›ci i prawa dożywotnika, jeżeli nie sÄ… ujawnione w ksiÄ™dze wieczystej i nie zostanÄ… zgÅ‚oszone najpóźniej na trzy dni przed rozpoczÄ™ciem licytacji, nie bÄ™dÄ… uwzglÄ™dnione w dalszym toku egzekucji i wygasnÄ… z chwilÄ… uprawomocnienia siÄ™ postanowienia o przysÄ…dzeniu wÅ‚asnoÅ›ci.
JednoczeÅ›nie na zasadzie art. 954 § 2 kpc Komornik wzywa wszystkie strony i uczestników postÄ™powania, aby najpóźniej w terminie licytacji zgÅ‚osiÅ‚y zestawienie podatków i innych danin publicznych, należnych po dzieÅ„ licytacji, pod rygorem utraty prawa dochodzenia zalegÅ‚ych Å›wiadczeÅ„ od nabywcy.
Zgodnie z § 23 rozporzadzenia Ministra finansów z dnia 28 marca 2011 r. w sprawie zwrotu podatku niektórym podatnikom, wystawiania faktur, sposobu ich przechowywania oraz listy towarów i uslug, do których nie majÄ… zastosowania zwolnienia od podatku od towarów i uslug (Dz. U. Nr 68, poz. 360) komornicy sadowi wykonujacy czynnoÅ›ci egzekucyjne w rozumieniu przepisów ustawy z dnia 17 listopada 1964 r. - Kodeks postepowania cywilnego, w przypadku sprzedaży towarów, wystawiajÄ… w imieniu dÅ‚użnika i na jego rachunek faktury potwierdzajÄ…ce dokonanie sprzedaży tych towarów. FakturÄ™ wystawia siÄ™, jezeli na dÅ‚użniku spoczywa obowiÄ…zek podatkowy zwiÄ…zany ze sprzedażą towarów. 

https://licytacje.komornik.pl/Notice/Details/657038